Forschung & Entwicklung
Am Montag, 18. November organisierten Privatradios zusammen mit der Glückskette einen nationalen Solidaritätstag zugunsten der Opfer des zerstörerischen Taifuns Haiyan, der die Philippinen am 8. und 9. November 2013 heimsuchte. Radio Argovia führte in diesem Zusammenhang ein Telefoninterview mit Prof. Hans-Jörg Stark vom Institut Vermessung und Geoinformation zum Thema Crisis Mapping durch. Im Interview wurde knapp erläutert, was Crisis Mapping ist, wie es funktioniert und wie es auch im Kontext der Philippinen eingesetzt wird. Das Interview kann über http://www.argovia.ch/audiobeitrag/3756096 nachgehört werden.
zurück zu allen Beiträgen
Crisis Mapping
20. November 2013
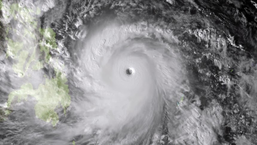
![]() |
| Satellitenbild des Taifuns Haiyan (Foto: AFP) |

Kommentare
Keine Kommentare erfasst zu Crisis Mapping